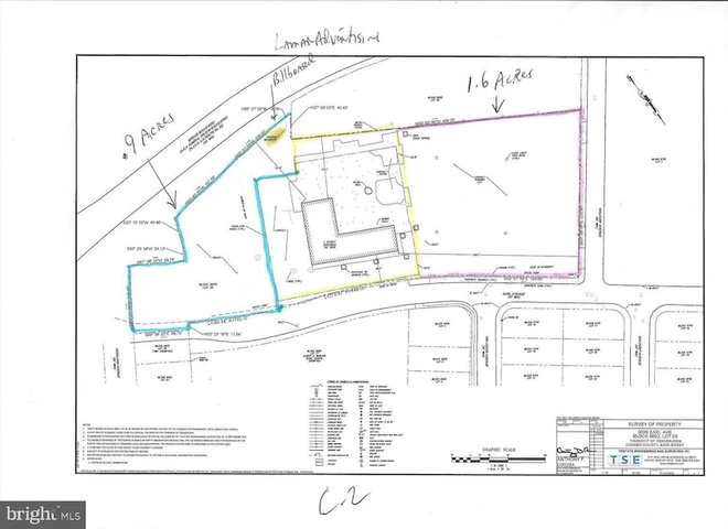
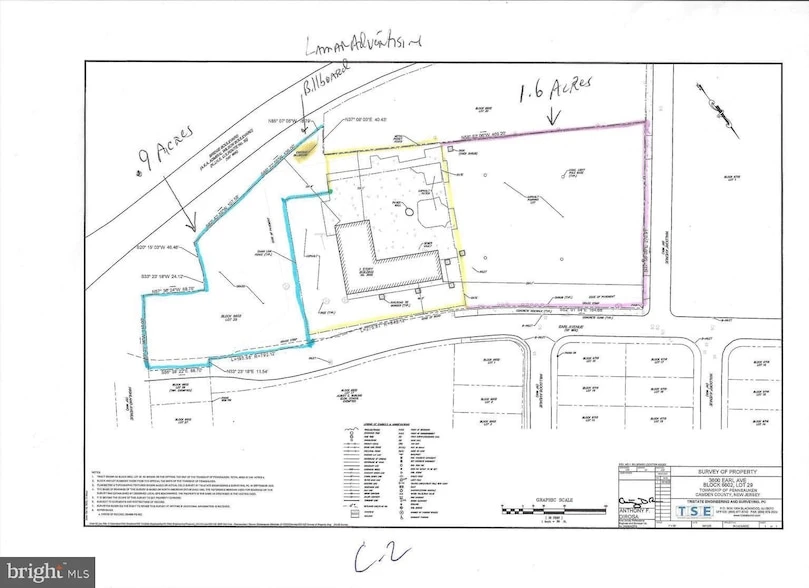
Land for Sale - 3600 Earl Avenue, Pennsauken, NJ 08110 - 3.95 acres

3.95 acres in Camden County, NJ

3600 Earl Avenue, Pennsauken, NJ | Lat/Lng:  39.9365, -75.0841

$1,000
3.95 ac.
03/03/2026
ACTIVE
Main Listing ImageMain Listing Image

Description

For sale is approximately one acre of land which must be sub-divided. The current zoning is C-2 Commercial and buds up to R4 Residential. The lot for sale is approximately 1 acre. The price listed is NOT the offering Price. The MLS requires a price be posted. The seller has requested all interested parties present a proposal with a offering price. The Seller does have a price in mind and believes it is best to negotiate with a potential buyer based on their intended use of the property. The current zoning is Commercial (C-2) however the surrounding area is Residential (R-4). This is located in the Cooper Planning District.

Details

CountyCamden
Zipcode08110
Property Type OneUndeveloped Land
BrokerageEXP Realty, LLC
Brokerage Linkkwprinceton.com/
Carleton Badger
EXP Realty, LLC
(267) 390-4261
By clicking the button, you agree to our Terms of Use and Privacy Policy.
$ image/svg+xml image/svg+xml image/svg+xml image/svg+xml image/svg+xml image/svg+xml image/svg+xml image/svg+xml image/svg+xml image/svg+xml image/svg+xml image/svg+xml image/svg+xml image/svg+xml image/svg+xml image/svg+xml image/svg+xml image/svg+xml image/svg+xml image/svg+xml image/svg+xml image/svg+xml image/svg+xml image/svg+xml image/svg+xml image/svg+xml image/svg+xml image/svg+xml image/svg+xml image/svg+xml image/svg+xml image/svg+xml image/svg+xml image/svg+xml image/svg+xml image/svg+xml image/svg+xml image/svg+xml image/svg+xml image/svg+xml image/svg+xml image/svg+xml image/svg+xml image/svg+xml image/svg+xml image/svg+xml image/svg+xml image/svg+xml image/svg+xmlimage/svg+xml image/svg+xml image/svg+xml image/svg+xml image/svg+xml image/svg+xml image/svg+xml image/svg+xml image/svg+xml image/svg+xml image/svg+xml image/svg+xml image/svg+xml image/svg+xml image/svg+xml image/svg+xml image/svg+xml image/svg+xml image/svg+xml image/svg+xml image/svg+xml image/svg+xml image/svg+xml image/svg+xml image/svg+xml $image/svg+xmlimage/svg+xmlimage/svg+xml image/svg+xml image/svg+xml