Land for Sale - 0 Greensboro Avenue, Sanford, NC 27330 - 0.2 acres

0.2 acres in Lee County, NC

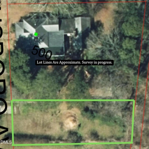
0 Greensboro Avenue, Sanford, NC | Lat/Lng:  35.4900, -79.1819

$49,000
0.2 ac.
03/05/2026
ACTIVE
Main Listing ImageMain Listing Image

Description

Flat, cleared, build-ready lot in Sanford with UN-6 (Urban Neighborhood) zoning, offering flexible residential development options. The UN-6 district is intended to support traditional neighborhood development patterns near Sanford's urban core and allows single-family homes as well as higher-density residential options such as duplex or small multi-family construction, making this a strong opportunity for both builders and investors. There is city water and sewer at the road and the lot is level, cleared, and requires minimal site work, making it one of the more straightforward building opportunities you'll find in the area. No significant clearing is needed, and grading requirements should be minimal, allowing construction to begin quickly once plans are finalized. This parcel is currently in the process of being subdivided, with the final survey expected shortly. Lot lines are already marked on site, and the photos included in the listing show approximate boundaries for reference. Final lot dimensions and boundaries will be confirmed once the survey is recorded in the coming days. Coming Soon while the subdivision is finalized. Updated survey documents and final lot measurements will be provided once available.

Details

CountyLee
Zipcode27330
Property Type OneUndeveloped Land
BrokerageLPT Realty, LLC
Brokerage Linkhttps://www.exprealty.com
Land Listing Agent Photo
Walter Ciucevich
LPT Realty, LLC
(844) 752-2893
By clicking the button, you agree to our Terms of Use and Privacy Policy.
$ image/svg+xml image/svg+xml image/svg+xml image/svg+xml image/svg+xml image/svg+xml image/svg+xml image/svg+xml image/svg+xml image/svg+xml image/svg+xml image/svg+xml image/svg+xml image/svg+xml image/svg+xml image/svg+xml image/svg+xml image/svg+xml image/svg+xml image/svg+xml image/svg+xml image/svg+xml image/svg+xml image/svg+xml image/svg+xml image/svg+xml image/svg+xml image/svg+xml image/svg+xml image/svg+xml image/svg+xml image/svg+xml image/svg+xml image/svg+xml image/svg+xml image/svg+xml image/svg+xml image/svg+xml image/svg+xml image/svg+xml image/svg+xml image/svg+xml image/svg+xml image/svg+xml image/svg+xml image/svg+xml image/svg+xml image/svg+xml image/svg+xmlimage/svg+xml image/svg+xml image/svg+xml image/svg+xml image/svg+xml image/svg+xml image/svg+xml image/svg+xml image/svg+xml image/svg+xml image/svg+xml image/svg+xml image/svg+xml image/svg+xml image/svg+xml image/svg+xml image/svg+xml image/svg+xml image/svg+xml image/svg+xml image/svg+xml image/svg+xml image/svg+xml image/svg+xml image/svg+xml $image/svg+xmlimage/svg+xmlimage/svg+xml image/svg+xml image/svg+xml